首頁 -> 國際
受颱風“珊珊”影響 日本取消超百架次航班分享到:
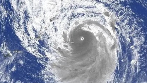
香港中通社8月26日電 受今年第10號颱風“珊珊”的影響,日本航空26日下午決定取消本月28日往返鹿兒島和奄美大島等地的共83班次國際國內航班,預計將影響約3500人出行。
圖為日本東京羽田機場 新華社資料圖 此外,日本航空還決定取消本月27日往返鹿兒島等地的39班次航班,並建議旅客通過官方網站等途徑確認最新的航班信息。 颱風“珊珊”的中心26日上午11時位於日本九州島南偏東方向約650公里的西北太平洋洋面上,中心最低氣壓為970百帕。 預計,“珊珊”將以每小時10至15公里的速度向西偏北方向移動,強度逐漸增強,向日本九州島南部沿海靠近,並將於28日夜間到29日早晨在日本九州島一帶沿海登陸。之後轉向東偏北方向移動,先後穿過日本四國島和本州島西部,強度逐漸減弱。 受其影響,未來三天,東海東部和黃海南部海域將有6至8級大風,東海東部部分海域風力9至10級,陣風可達11至12級。(完) 【編輯:彭玉婷】
|
視頻更 多
28支龍獅隊齊集錦田爭奪“獅王”殊榮 龍獅隊員:十年後再來表演舞獅爭霸!
周潤發率“百歲”港星團跑馬拉松:重在完成,重在和觀眾打個招呼
樓市寒冬已過?現在是買樓好時機嗎?聽聽地產專家怎麼說
誰能成為下一個Labubu? 潮玩商家們為何集體聚焦盲盒發展?
香港立法會舉行首次會議 通過大埔火災後支援及重建工作議案
【你不知道的香港】高樓林立的香港正悄然進行一項“移山計劃”......
【通說環球】科幻照進現實?解碼中國“南天門計劃”
來論更 多評論更 多
論壇更 多閱讀排行
|










