“樺加沙”最快明午珠海至湛江沿海登陸 廣東11市“五停”香港新聞網9月23日電 超強颱風“樺加沙”來勢洶洶,中國中央氣象台今天(23日)上午繼續發布颱風橙色預警,預料“樺加沙”將在明天中午或晚上以颱風級或強颱風級,在廣東珠海到湛江一帶沿海登陸,之後轉向偏西方向移動,強度逐漸減弱。
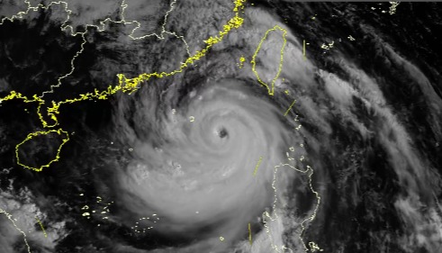
“樺加沙”72小時路徑概率預報圖。圖源:中國中央氣象台 “樺加沙”中心上午10時位於廣東省陽江市東偏南方向約640公里的南海北部海面上,中心附近最大風力有17級(58米/秒),中心最低氣壓為920百帕,七級風圈半徑340-380公里,十級風圈半徑160-180公里,十二級風圈半徑80-90公里。 中央氣象台預計,23日14時至24日14時,巴士海峽、南海大部、西沙群島、中沙群島、南沙群島、東沙群島及黃岩島附近海域、台灣海峽、台灣以東洋面、東海南部、北部灣、瓊州海峽、浙江沿海、福建沿海、廣東南部地區及沿海、珠江口區、海南島沿海、廣西沿海、台灣島沿海將有6-9級大風、陣風10-11級。 其中,廣東沿海和南海北部的部分海域風力有10-13級、陣風14-15級,颱風中心經過的附近海域或地區風力可達14-17級、陣風17級以上。 另外,浙江東南部、福建東北部和南部、廣東中東部、台灣島等地部分地區有大到暴雨,其中,浙江東南沿海、福建南部、廣東中東部沿海、台灣島東部和南部等地部分地區有大暴雨,台灣島東南部局地特大暴雨(250-450毫米)。 截至23日9時09分,廣東惠州、惠陽、大亞灣區、惠東、惠來、海豐、陸豐、汕尾、珠海、台山、斗門等11個市縣颱風橙色預警信號生效中;廣州、汕頭、江門、陽江等47個市縣颱風黃色預警信號生效中,徐聞、湛江、清遠、梅州等29個市縣颱風藍色預警生效中,封開、陽山、和平等17個市縣颱風白色預警生效中。 廣東省氣象台提醒,“樺加沙”在靠近珠江口近海後將偏西行,離岸距離近,存在隨時登陸、多次登陸的可能,無論在哪個地點登陸都將對廣東造成大範圍嚴重影響,且有可能是今年以來登陸中國最強的颱風,其大風影響範圍已接近2018年颱風“山竹”巔峰時期。 受“樺加沙”影響,廣東多地宣布實施“五停”(停課、停工、停產、停運、停業)。 深圳:23日下午在全市範圍內實行“五停”,其中14時起停工、停業、停市,20時起停運,22日晚已開始停課。除搶險人員和民生保障人員外,其他人員請勿隨意外出。全市開放全部室內避險場所供群眾避險。 珠海:在9月23日至24日停課的基礎上,自9月23日中午12時起,全市實行停工、停產、停運、停業。 佛山:自23日起在全市範圍內分批實行“五停”措施。 中山:23日、24日將全天停課,23日晚將開始實施“五停”。 東莞:自22日15時起,在全市範圍內分批實行“五停”措施。22日18時起至25日18時,全市所有教育機構停課;23日12時起至25日6時,各類工業園區、生產基地、工廠、作坊等全面停止生產。 惠州:決定於23日18時,在全市範圍內發布“五停令”,並建議23日中午起停工做好家庭防禦。 湛江:預計於23日15時起實施停課,其他“四停”措施,預計於24日起根據颱風動態視情實行(具體時間以後續通告為準)。 江門:23日19時起在全市“停課”的基礎上實行其他“四停”措施。 陽江:23日實行停課,23日19時起實行其他“四停”措施。 茂名:預計於23日12時起實施停課,23日21時起實行其他“四停”措施。 潮州:23日、24日實施停課,23日12時至24日18時實施停工、停產、停運,23日20時至24日18時實施停業。 汕頭:23日起分區域、分行業、分時段實行停課、停工、停產、停運“四停”措施。自23日起,全市所有學校及教育培訓機構全面停課,所有在建工地停止施工,水上交通全線停運。 濠江區、潮陽區、潮南區將從23日8時至24日12時全面停止生產活動,僅保留搶險救災和基本社會運行保障單位運作。 9月23日10時,廣東省防總將防風Ⅱ級應急回應提升為防風Ⅰ級應急回應。 廣東全省列車將停運 為保障列車運行安全,國鐵廣州局根據颱風動態及影響範圍,對管內列車運行計劃進行調整。具體安排如下: 9月23日12時起,廣東省內高鐵及普速列車開始逐步停運,停運範圍隨颱風影響動態調整;24日全天廣東省內所有高鐵、普速列車停運;25日凌晨起將根據颱風影響減弱情況,逐步恢復列車開行,具體恢復車次將動態更新。(完) 【編輯:石歡歡】
|










