首頁 -> 頭條
颱風“鳳凰”將正面登陸台灣分享到:
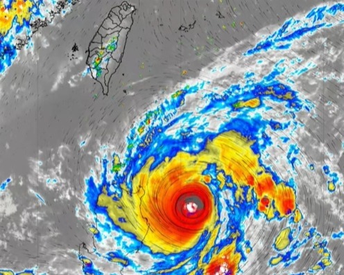
香港中通社11月9日電 台北消息:颱風“鳳凰”將襲台,台灣氣象署9日表示,預計10日午後發布海上警報,11日發布陸上警報,未來一週大台北、宜花地區需防暴雨以上降雨。 台氣象署預報員張承傳表示,目前“鳳凰”強度達“中級颱風”上限,暴風半徑約250公里,預估9日晚會通過呂宋島,11日北轉、往東北方向移動接近台灣。
圖為受颱風影響的台灣民眾。香港中通社圖片 氣象署預計在10日下午或傍晚發布海上警報,11日上午發布陸上警報,依當前資料預測,“鳳凰”可能在12日晚間至13日清晨登陸台灣。 張承傳指出,12日“鳳凰”接近台灣陸地,中南部、花東地區需注意大雨或暴雨;13日轉偏東北風,北部地區有較大雨勢。(完) 【編輯:李濼】
|
視頻更 多
“腦機接口”新突破 港大團隊研發超長續航“類腦芯片”
【通說環球】中國醫療憑什麼讓外國人打“飛的”來看病?
地緣衝突升溫 油金避險不再是最佳選擇?股市震盪中投資者應如何應對?
因戰爭停擺的文化交流 在香港再次聯動
防AI“胡說八道”之後 我們該防AI“胡作非為”了?
【你不知道的香港】來香港還可以這樣玩!藏在美食工廠的穿越之旅
馬龍訪港與霍啟剛郭晶晶對打 笑稱六金是被“畫餅”畫出來的
來論更 多評論更 多
論壇更 多閱讀排行
|










